Η Τζαμάικα ζει ώρες αγωνίας καθώς ο τυφώνας Melissa χτυπά το νησί της Καραϊβικής την Τρίτη (28.10.2025). Ο τυφώνας έχει χαρακτηριστεί ως ο δεύτερος ισχυρότερος που έχει καταγραφεί ποτέ στον Ατλαντικό, μεταδίδει το Sky News.
Σύμφωνα με το Εθνικό Κέντρο Τυφώνων των ΗΠΑ, ο τυφώνας Melissa παράγει σταθερούς ανέμους σχεδόν 300 χλμ/ώρα, σε απόσταση μόλις 75 χιλιομέτρων από τις ακτές της Τζαμάικα. Ο διευθυντής της Μετεωρολογικής Υπηρεσίας του νησιού, Έβαν Τόμσον, προειδοποίησε ότι ο κυκλώνας «θα προκαλέσει καταστροφές μεγάλης έκτασης και πιθανώς θανατηφόρες».
Άνεμοι ρεκόρ και καταρρακτώδεις βροχές
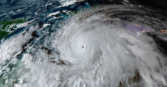
Η Melissa εμφανίζει χαρακτηριστικά συγκρίσιμα ή και ανώτερα από εκείνα των τυφώνων Κατρίνα και Μαρία, όπως γράφει η New York Times. Η ελάχιστη κεντρική πίεσή της, που μετρήθηκε στα 892 millibar, είναι η πέμπτη χαμηλότερη που έχει ποτέ καταγραφεί στον Ατλαντικό.
10AM #Melissa Update: @53rdWRS and @NOAA_HurrHunter Hurricane Hunter aircraft find that Melissa continues to strengthen. Catastrophic winds are moving onshore southern Jamaica. THIS IS THE LAST CHANCE TO PROTECT YOUR LIFE! For more updates visit https://t.co/tW4KeGe9uJ pic.twitter.com/3jr34vkzrZ
— National Hurricane Center (@NHC_Atlantic) October 28, 2025
Οι ειδικοί προειδοποιούν ότι η αργή της κίνηση θα εντείνει τις βροχοπτώσεις, προκαλώντας πλημμύρες ρεκόρ και κατολισθήσεις στις ορεινές περιοχές της χώρας. Το φαινόμενο θυμίζει τον τυφώνα Χάρβεϊ που έπληξε το Τέξας το 2017 και τον Ντόριαν στις Μπαχάμες, όπου καταγράφηκαν έως και 60 εκατοστά βροχής.





Χθες, αεροσκάφη της NOAA, οι γνωστοί «κυνηγοί τυφώνων» (Hurricane Hunters), εισήλθαν στο μάτι του κυκλώνα Melissa, καταγράφοντας εντυπωσιακές εικόνες του φαινομένου. Τα αεροσκάφη αυτά είναι εξαιρετικά πολύτιμα για την Αμερικανική Μετεωρολογική Υπηρεσία, καθώς της επιτρέπουν να μετρά με ακρίβεια τα χαρακτηριστικά του τυφώνα και να προσφέρει πιο αξιόπιστες προβλέψεις για την εξέλιξή του.
This footage from inside the eye of Category 5 Hurricane Melissa might be the most jaw-dropping video ever captured of a hurricane’s eye, showcasing the infamous “stadium effect.” pic.twitter.com/AEhj2g2Ban
— Colin McCarthy (@US_Stormwatch) October 27, 2025
Κάτοικοι μεταξύ εκκένωσης και αντοχής
Ενώ οι αρχές έχουν διατάξει μαζικές εκκενώσεις στις πιο ευάλωτες περιοχές, ορισμένοι κάτοικοι επιλέγουν να παραμείνουν στα σπίτια τους.
Στο Κίνγκστον, ο Ματέο Αβάγε Πίμπερ δήλωσε στο CNN ότι η οικογένειά του «νιώθει προετοιμασμένη» παρά την ανησυχία. «Το σπίτι μας έχει χτιστεί για να αντέξει τέτοια φαινόμενα. Έχουμε νερό, τρόφιμα και ό,τι χρειάζεται για μία εβδομάδα», είπε, προσθέτοντας ότι υπάρχει ισχυρό πνεύμα αλληλεγγύης στη γειτονιά του.
Video from Black River, Jamaica…thanks to my friend Markie. pic.twitter.com/TkKzxwiJ2Z
— Hester Prynne (@nwadeema) October 28, 2025
Huracán #Melissa llega a #Jamaica. Se espera que impacte como una tormenta catastrófica, la más fuerte que ha golpeado la isla. pic.twitter.com/SvgiBsAa7A
— teleSUR TV (@teleSURtv) October 28, 2025
Terrifying footage coming from Treasure beach in Jamaica as hurricane Melissa makes landfall
Link to livestream below pic.twitter.com/EIQ7e19gRY
— Volcaholic (@volcaholic1) October 28, 2025
Μία ιστορική απειλή
Οι δορυφορικές εικόνες δείχνουν πλέον το τοίχωμα του ματιού του κυκλώνα να αγγίζει τις νότιες ακτές της Τζαμάικα, με ανέμους που φτάνουν τα 290 χλμ/ώρα. Το επίσημο σημείο πρόσκρουσης αναμένεται μέσα στις επόμενες ώρες, σηματοδοτώντας τη μετάβαση του νησιού στη πιο επικίνδυνη φάση της καταιγίδας. «Πολύ λίγα πράγματα μπορούν να σταματήσουν έναν τυφώνα κατηγορίας 5», υπενθύμισε ο Τόμσον.
Οι αρχές καλούν τους κατοίκους να παραμείνουν σε ασφαλή σημεία, να προετοιμαστούν για παρατεταμένες διακοπές ρεύματος, ανύψωση της στάθμης των υδάτων και ζημιές πρωτοφανούς έκτασης.
















